ANTALYA Kültür Varlıklarını Koruma Bölge Kurulu, gerçekleştirdiği son toplantıda Korkuteli ilçesinin kültürel envanterini zenginleştirecek kararlara imza attı. Yazır Mahallesi sınırları içerisinde yer alan ve bölgenin tarihi su kullanım kültürünü yansıtan iki farklı su kuyusu, resmi olarak devlet korumasına dahil edildi.
![]() |
![]() |
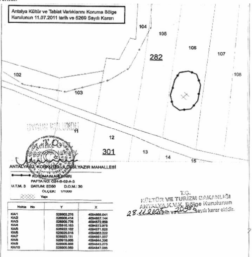
Kurulun 28.11.2025 tarihli ve 554 sayılı toplantısında alınan kararlar doğrultusunda, mülkiyet durumları ve konumları belirlenen iki tarihi su kuyusu hakkında karar alındı. Yazır Mahallesi, Büngüş Mevkii'nde 282 ada 106 parselde yer alan su kuyusunun 'Korunması Gerekli Taşınmaz Kültür Varlığı' olarak tescil edilmesine karar verildi. Yapılan incelemeler sonucunda tescil fişi uygun bulunan bu yapı, II. grup koruma kategorisine dahil edildi.

Aynı mevkide 282 ada 131 parselde bulunan ve kısmen özel mülkiyet sınırları içerisinde kalan bir diğer su kuyusu da koruma kapsamına alındı. Bu yapı için de koruma grubu II. grup olarak belirlenerek tescil işlemleri tamamlandı.

RESMİ GAZETE'DE YAYIMLANDI
Söz konusu tescil kararları, ilgili mevzuat çerçevesinde resmiyet kazandı ve 14 Mart 2026 tarihli Resmi Gazete'de yayımlandı. Her iki taşınmaz için de karar tarihi 28.11.2025 olarak kayıtlara geçti. 106 parseldeki yapı için 20986 sayılı karar , 131 parseldeki yapı için ise 20987 sayılı karar oluşturuldu. Tescil edilen su kuyularının çevresi, gelecekteki olası tahribatların önüne geçilmesi amacıyla koruma alanı ilan edildi. Bu yapıların çevresinde yapılacak her türlü fiziki ve inşai müdahale bundan sonra Antalya Kültür Varlıklarını Koruma Bölge Kurulu’nun iznine tabi olacak.








