KÜLTÜR ve Turizm Bakanlığı Antalya Kültür Varlıklarını Koruma Bölge Kurulu, gerçekleştirdiği son toplantılarda Antalya ve Isparta illerindeki önemli buluntu alanlarını koruma altına aldı. Yapılan incelemeler sonucunda Manavgat, Serik ve Yalvaç ilçelerindeki birçok nokta ‘arkeolojik sit alanı’ olarak tescil edildi.
MANAVGAT'TA TARİH FIŞKIRDI: 3 MAHALLE KORUMAYA ALINDI
Kurulun 28 Temmuz 2025 tarihli toplantısında Manavgat ilçesi için üst üste tescil kararları çıktı. Yukarıışıklar Mahallesi’nde Hazine ve özel mülkiyete ait parsellerde tespit edilen yoğun seramik yüzey buluntuları nedeniyle bölge III. derece arkeolojik sit alanı olarak tescil edildi. Bucakşeyhler Mahallesi’nde Orman vasıflı arazide saptanan seramik kalıntıları, bu alanın da III. derece arkeolojik sit alanı ilan edilmesine yol açtı. Aşağıışıklar Mahallesi’nde ilçedeki en kapsamlı kararlardan biri bu mahalle için verildi. Bölgede saptanan antik temel kalıntılarının bulunduğu alan I. Derece, çevresindeki seramik yayılım sahası ise III. derece arkeolojik sit alanı olarak belirlendi.

SERİK’TE DSİ ARAZİSİNDE ANTİK İZLER
Serik ilçesine bağlı Burmahancı Mahallesi'nde, DSİ mülkiyetindeki bir parselde yapılan araştırmalarda yüzey seramiklerine rastlandı. 28 Ağustos 2025 tarihli kararla bu bölge de III. derece arkeolojik sit alanı olarak kayıt altına alındı.

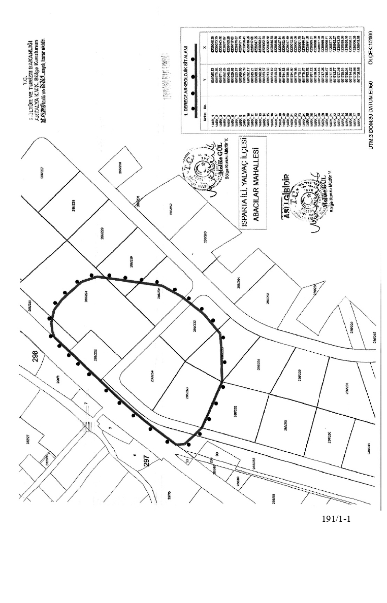
YALVAÇ OSB'DE KRİTİK KARAR: I. DERECE SİT İLAN EDİLDİ
Isparta'nın Yalvaç ilçesi, Abacılar Mahallesi'nde bulunan Organize Sanayi Bölgesi (OSB) içerisinde tesadüfen saptanan kalıntılar koruma altına alındı. Belediye mülkiyetindeki alanda, antik yapı temel izleri, çatı kiremitleri ve seramik yayılımı tespit edildi. Kurul, alanın tarihsel önemini göz önünde bulundurarak bölgeyi en üst koruma statüsü olan I. derece arkeolojik sit alanı ilan etti.

FİZİKİ MÜDAHALE YASAKLANDI
Alınan kararlar doğrultusunda, tescil edilen tüm alanlarda koruma bölge kurulundan izin alınmadan hiçbir fiziki ve inşaat müdahalesinde bulunulamayacak. Söz konusu alanların sınırları 1/5000 ve 1/2000 ölçekli haritalarla kesinleştirilerek tapu kütüğüne ‘sit alanı’ şerhi düşüldü.















